€ 5.0928
|
$ 4.3580
|
Curs valutar: € 5.0928
|
$ 4.3580
 

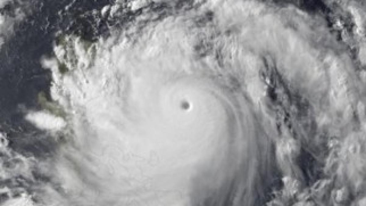
Pericol în Japonia! După tsunami ar putea veni taifunul

Un taifun aflat în prezent deasupra sudului Japoniei se îndrepta duminică spre nord-estul ţării, însoţit de ploi violente, şi ar putea trece prin regiunea devastată de seismul urmat de un tsunami la 11 martie, potrivit serviciilor meteorologice.

Taifunul, denumit Songda, pierde însă din forţă şi ar putea fi redus la rangul de depresiune. Dar el va continua să provoace ploi torenţiale, au adăugat serviciile meteorologice, scrie Mediafax.

Acesta este aşteptat în zona Tokyo luni la ora locală 9.00 (3.00, ora României).

Serviciile meteorologice nu au fost în măsură să precizeze dacă furtuna va afecta centrala nucleară Fukushima Daiichi, grav avariată în timpul cutremurului urmat de un tsunami la 11 martie şi situată la 220 de kilometri nord-est de Tokyo.

Dar taifunul a provocat deja ploi violente în regiunea Fukushima, generând îngrijorări privind deversarea, în Oceanul Pacific, a apei de ploaie contaminate.

Operatorul centralei nucleare, Tokyo Electric Power (TEPCO), a acoperit complexul nuclear cu răşini sintetice pentru a evita ca elemente radioactive să fie luate de vânt sau de ploaie.

Songda a atins la început insula Okinawa (sud), unde a provocat rănirea a 57 de persoane, dintre care cinci grav, potrivit poliţiei.

Google News icon  Fiți la curent cu ultimele noutăți. Urmăriți DCNews și pe Google News

Adaugă comentariu

0 caractere :: Număr maxim de caractere 1000

* Comentariile care contin limbaj vulgar vor fi suspendate

 
 
 
 
 
x close